(728) 2857473

55 1275 8391

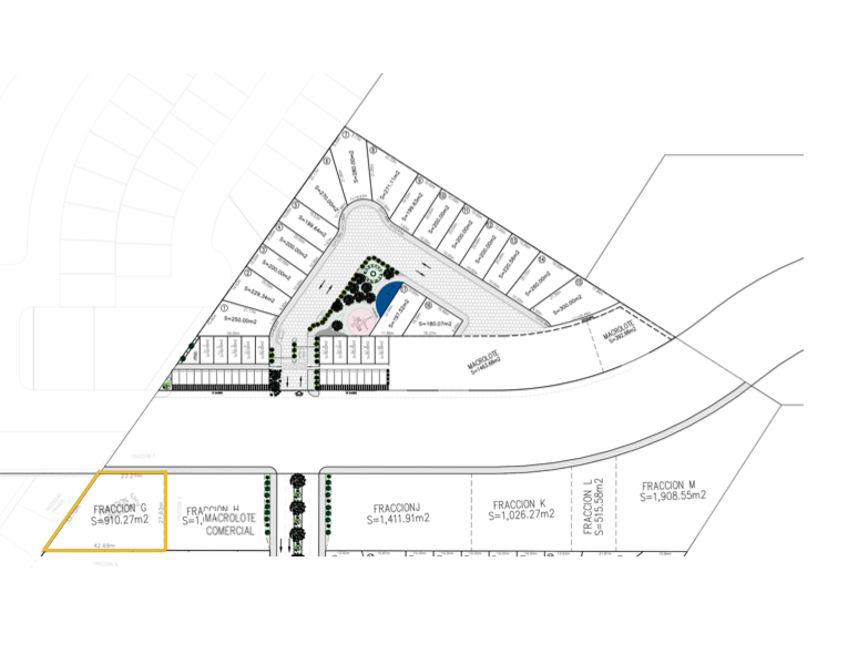
LOTE COMERCIAL DE 910 M2 EN VENTA EN SERENA EL REJON(ZONA RELIZ) FRACCION G

Haciendas del Rejón, Chihuahua, Chihuahua

  • Terreno
  • 910 m² de terreno
  • $7,000 MXN por m² En Venta

Descripción

¡Invierte en el corazón del crecimiento!
Lote comercial en serena el rejon – Chihuahua

Superficie: 910.17 m2
Precio : 7,000 por m2
Enganche inicial: 25%
Plaza de financiamiento: Hasta 48 mensualidades
Tasa de interes: 15%

Localizado en una de las zonas con mayor crecimiento y plusvalía de la ciudad, Valle del Rejón.
La zona se caracteriza por estar en medio de las tres presas de la ciudad de Chihuahua con proximidad a actividades de recreación y deporte.

AMENIDADES:
Tienda de autoservicio Alsuper
5 min
Centro Comercial Fashion Mall
8 min
Av. Teófilo Borunda
3 min
Centro de la ciudad
14 min
Área comercial sobre Av. Bicentenario
Cerca de 9 centros educativos desde kinder hasta universidad en un radio de 3.5 km
Zona con plan de desarrollo habitacional de aproximadamente 1500 viviendas a futuro.
Dentro de un conjunto comercial
Libre de obstrucción visual.

Licencia Inmobiliaria LPSI 00087/2022
contacto@beall.mx
https://www.facebook.com/beallbienesraices/

Telefonos de contacto 614 2 52 38 83. / 614 2 34 7147.

AVISO LEGAL: Los precios y condiciones de venta o arrendamiento publicados por cualquier medio son de carácter informativo y pueden cambiar sin previo aviso, el precio de venta/renta anunciado no representa una oferta o compromiso formal y tiene vigencia limitada. Toda operación u oferta formal esta sujeta a la celebración y firma de un contrato de arrendamiento o de compra venta y de servicios de intermediación inmobiliaria.

Detalles

ID:EB-UK2329
Tipo:Terreno
Precio de venta: $7,000 MXN por m²
Terreno:910 m²